千葉県松戸市秋山1-8-1 マップを見る
駐車場案内
全16台。病院前に8台。提携駐車場(スーパーベルク横ナビパーク)に8台駐車可能 ※提携駐車場ご利用の方は、駐車証明書を受付にお持ち下さい
マップを閉じる

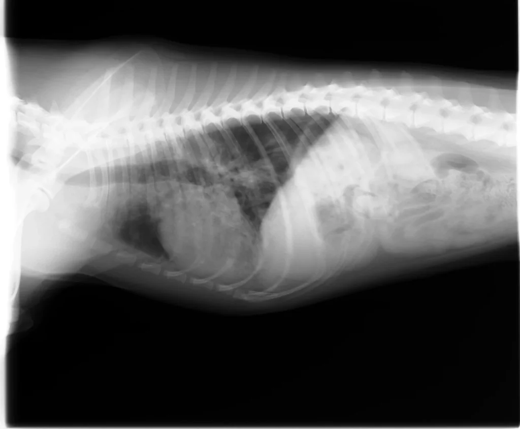
新型コロナ感染症が人の世界で蔓延し、咳や呼吸困難などでとても苦しい経験をされた方もいらっしゃるかと思います。もちろんワンちゃん、ネコちゃんの呼吸器疾患もとても苦しいはずです。呼吸器疾患の原因は様々あり、ウイルスや細菌感染はもちろんのこと、心臓病やワンちゃんであれば気管虚脱、喉頭麻痺、短頭種気道症候群、猫ちゃんであれば喘息などが代表的な病気となります。
また、咳自体は体にとって必要な防御機構という考え方もあり、実際、咳を止めるべきかどうか常に議論になります。
ワンちゃんネコちゃんの場合、呼吸器疾患については発展途上の分野のため、わかっていないことがまだまだたくさんあります。
当院ではこのような呼吸器疾患のワンちゃんネコちゃんにおいて、血液検査、レントゲン検査に加え、気管支鏡などの検査も実施しております。ただ、気管支鏡は麻酔をかけての検査になります。そのため麻酔をかけないでできる検査までで、まずは全体を把握させていただきたいと考えております。
松戸市・市川市の動物病院 (犬・猫)北総線秋山駅徒歩5分 アギー動物病院
お電話はこちら (電話受付時間:診療時間内)
047-312-8300
△ 土日祝日の受付時間はPM5:30までとなります。
※ 木曜日午後は、獣医師が1名在院していますので緊急の方はご来院ください
千葉県松戸市秋山1-8-1
マップを見る駐車場案内
全16台 病院前に8台。提携駐車場(スーパーベルク横ナビパーク)に8台駐車可能 ※提携駐車場ご利用の方は、駐車証明書を受付にお持ち下さい
お支払い方法
現金・下記のクレジットカードのご利用が可能です。
※クレジットカードのご利用を一部ご利用いただけない診療があります。